| 包装规格 | 500g/瓶,20瓶/箱 |
|---|---|
| 类型 | 微量元素叶面肥 |
| 生产厂家 | 开金 |
| 用途 | 果树叶面肥 |
| 有效成份含量 | ≥20% |
| 分类 | 叶面肥 |
| 喷施浓度 | 400-800倍液 |
| 喷施时间及次数 | 7-15天喷一次 喷施3-5次 |
| 品牌 | 开金 |

















“秋来福”叶面肥综合使用效果:
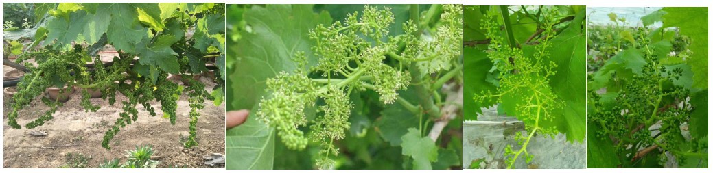
一、秋来福在葡萄上各个时期效果反馈:
(1)在葡萄花前、花期使用秋来福叶面肥后,能促进花粉管萌发生长,促进授粉,可提高葡萄座果率,另外葡萄光合作用强,根系叶片就会很好。
上图是上海用户使用秋来福叶面肥1次2次之后葡萄花穗期的表现图:
花穗普遍又长又大,花蕾比较健壮,而且授粉率很高,后期的座果率也提高不少,而且花期抗冻害能力也比较强。
(2)下面是花期及花前使用秋来福后的对比图,红色区域为使用秋来福后的效果,黄色区域是未使用秋来福的效果。
上面图片:左边红色区域的葡萄已经很大了而且已经坐稳果了,而黄色区域即没有用的葡萄还在开花期,坐果期还没有到,可见对提前促进葡萄授粉、坐果都有很好的效果。
第二张图是用秋来福的已经开始进入膨果期了而且葡萄不少,未使的葡萄刚处于幼果期,而且葡萄也没有使用秋来福的多。
注:上海王师傅开心的说:这是同一个地方相互挨着的效果,多少都有一些影响,没有挨着的差别就更明显了,秋来福叶面肥促进保花、保果、提高座果率效果真不错,后期我还会继续使用。
(3)下图是河南偃师与陕西渭南两个客户使用秋来福叶面肥幼果期的图片:
上图使用秋来福叶面肥葡萄表现为:葡萄座果率都非常多,而且果穗比较大,大小粒也很少,果个比较均匀,树势健壮,果面也非常好,抗病能力也比较强
(4)下图是云南客户葡萄膨大期表现图:
上图葡萄表现为:葡萄膨果快而且还果个相对于大一些,果穗紧凑均匀,大小粒少,光合作用强,叶片厚绿,而且葡萄套袋也不影响金硼高钙的效果,果面光又亮,看着今年产量不会低了,云南客户张师傅高兴的说到:秋来福叶面肥提质增产效果好。
(5)下图是使用秋来福叶面肥在葡萄上的上色时间对比:

上面左图已经上色多部分了,右边的还没有开始上色
(6)下面是葡萄成熟之后的表现图:
为了说明秋来福叶面肥的效果,搜集的效果图片有点多。

它们的共同特点是:膨果快,上色早又好,果面光亮裂果少,果实硬度好,耐储运,品质好产量高,果穗整齐,大小粒少,而且抗病能力也比较强。
大多数品种的葡萄打过秋来福叶面肥之后有以下几个特点:
1、叶面厚绿,叶片好,树势健壮,但不旺长
2、坐果率相对提高,大小粒减少,
3、果粒比较均匀,颜色好
4、膨果快,上色时间早
5、口感好,品质相对提高
6、防止裂果、缩果、果面好
7、产量相对于不错
8、来年花芽分化好,果树抗病性提高
二、秋来福在樱桃上效果反馈:
下图是陕西渭南樱桃技术老师使用情况:

这个技术老师说:樱桃使用产品后,今年的樱桃,成熟时间比周围种植户成熟时间早,口感好,果面也非常好,裂果情况很少,别人的果树上樱桃挂的很少,他的果子相对于不少,产量相对于高,使用之后樱桃坐果多了,膨果快了,上色早了,他说以后我就跟着你们走,今年让我多卖了不少钱。
这个技术老师还说:使用秋来福4遍以上的樱桃园,大部分果子都在13g以上,大家知道大樱桃果个越大,价格越高,而且使用秋来福的成熟时间也相当于早一些,秋来福的效果在樱桃上还是不错的,另外这个技术老师给我们说,我们发现我们的樱桃硬度及颜色特别好,商品价值就相对于高一些了。

上图是使用秋来福叶肥第2遍以后,樱桃的叶子又大又厚实而且颜色都是深绿色的非常健康,树势长的非常好但又不旺盛,坐果也非常多,小樱桃密密麻麻都是果子,非常喜人。
下面咱们看看河南新郑樱桃沟客户综合使用效果反馈,当时问他们效果的时候,其中一个带头人高兴的说你们的产品在樱桃上表现太好了,我用文字给你们写出来:

上面写的大概内容是使用秋来福(金硼高钙系列产品)与果蔬三宝叶面肥后,樱桃果个大,裂果少、色泽鲜亮、口感比较甜,同时叶片肥大,叶片厚、发黑、发亮、树势比较健壮,综合使用效果不错。
三、秋来福在橘子(沙糖桔与柑橘)上的使用效果
(1)广西象州用户用“秋来福”系列产品在沙糖桔上效果情况

上图是:沙糖桔前期使用秋来福系列产品叶面肥后,叶片厚绿,树势健壮,果子密密麻麻非常多,座果率提高了不少,而且果面光亮均匀,看到这个情况广西皱师傅忍不住拍了几张给我们发了过来,说秋来福系列产品效果真不错。

皱师傅说后期成熟后,沙糖桔果面光亮好看看着很有精神,而且硬度非常好,甜度品质提高不少,总体产量也上去了,而且果型大小均匀,商品价值要比一般的强不少,今年多收入不少,下年我还继续用,而且还要推荐其他人用一下。

成熟后的沙糖桔挂在树上看着挺喜人的,品质与产量也是很不错,硬度也很好,而且下年花芽分化的也很好,明年产量应该还不错。

(2)秋来福在柑橘上的使用效果反馈
广西周师傅的柑橘使用秋来福叶面肥后,果面光亮,果型均匀,树势健壮,叶片厚绿,硬度好,品质与产量提高不少,花芽分化的也很好有助于明年的产量,而且抗病害能力也提高了。

四、秋来福叶面肥在草莓上使用效果:

草莓从苗期开始使用秋来福,苗长的非常好而且叶面厚绿,开花及结果都非常多,一排一排的,每一茬结的品质与产量都不错。
草莓个子都很大,而且里面都是实心的,甜度很甜,产量也高,后面那2张是颜色还没有完全上好就有人要了,应为这个甜度也很好,草莓味很浓。
上图是:红色区域即左边是用过秋来福的果子已经很大了
黄色区域即右边是没有用的还在开花期
秋来福具有促进授粉及提高座果率、光合作用的效果,在草莓上效果还是不错的。

五、秋来福在苹果上的使用效果


这是三门峡客户用秋来福的效果,苹果座果率高,抗病性强,果面光亮着色好,硬度好,甜度也高,产量不错,上面右上角是他那种的苹果进行的含量检测,其中样品带皮硬度为13.8磅/平方厘米,含糖量为16.4%,相当不错了这个结果。
六、秋来福在枣树上的效果反馈

秋来福在枣树上使用防裂果缩果、提高干物质累积含量。提高座果率、提质增产效果都非常好,在新疆、三门峡、河北都有常年使用秋来福的稳定客户,而且中国枣研究中心毛永民教授还推荐使用秋来福系列产品,可见秋来福在枣树上的效果是不错的,您看上图是河北及新疆用户发给我们的枣的果面很好,而且后期晒的枣肉也很多。

七、秋来福在桃树上的使用效果:
(1)在毛桃上效果:
(2)在油桃上使用效果:
这是陕西客户在油桃及毛桃上使用秋来福后,毛桃油桃的硬度比较好,而且果个比较大,颜色亮丽好看,座果率非常高,成熟早,品质好,树势健壮,花芽分化的比较好,减少了大小年发生概率,而且果面好,基本没有裂果情况。
八、秋来福在蔬菜西红柿上的使用效果
(1)秋来福在西红柿上的效果:

在西红柿上坐果多,裂果上,果面光亮,成熟早,上色好、品质好产量高,随便掰开一个都是实心的而且还是红壤
(2)在小西红柿即圣女果上表现也不错

开花好、授粉快、坐果多、果面好、产量高、上色均匀颜色好、品质不错
注:秋来福叶面肥在其它蔬菜上表现效果也非常好,若您对秋来福感兴趣赶紧下单或咨询我们吧!

九、秋来福在猕猴桃及杏树上效果:
(1)在猕猴桃上:坐果多、甜度好、产量高,叶面肥厚绿根系好

(2)在杏上:树势健壮叶片好坐果多品质硬度好,糖度高品质好、果面好。
注: 秋来福在其它果树、蔬菜上表现效果都很好!
看到上面秋来福用户的使用反馈,您是否想和他们一样,增产、增收、品质好、果面好看裂果少而且光亮、树势有精神呢,不防试试秋来福叶面肥,不仅效果好,还提供管理技术及施肥方案支持哦!






